Госзакупка: консервации объекта гаражного назначения Дмитровское шоссе, вл. 98

Новости района Восточное Дегунино
Северный административный округ город Москва
Новая тема Ответить
Аватара пользователя

Автор темы
Ефанов Сергей
Администратор
Сообщения: 7507
Зарегистрирован: 08 фев 2015, 06:07
Откуда: Москва
Благодарил (а): 166 раз
Поблагодарили: 64 раза
Контактная информация:

Госзакупка: консервации объекта гаражного назначения Дмитровское шоссе, вл. 98

Сообщение Ефанов Сергей » 16 фев 2016, 02:29 #1

Странная госзакупка.
В то время когда гаражей и парковочных мест в районе не хватает...

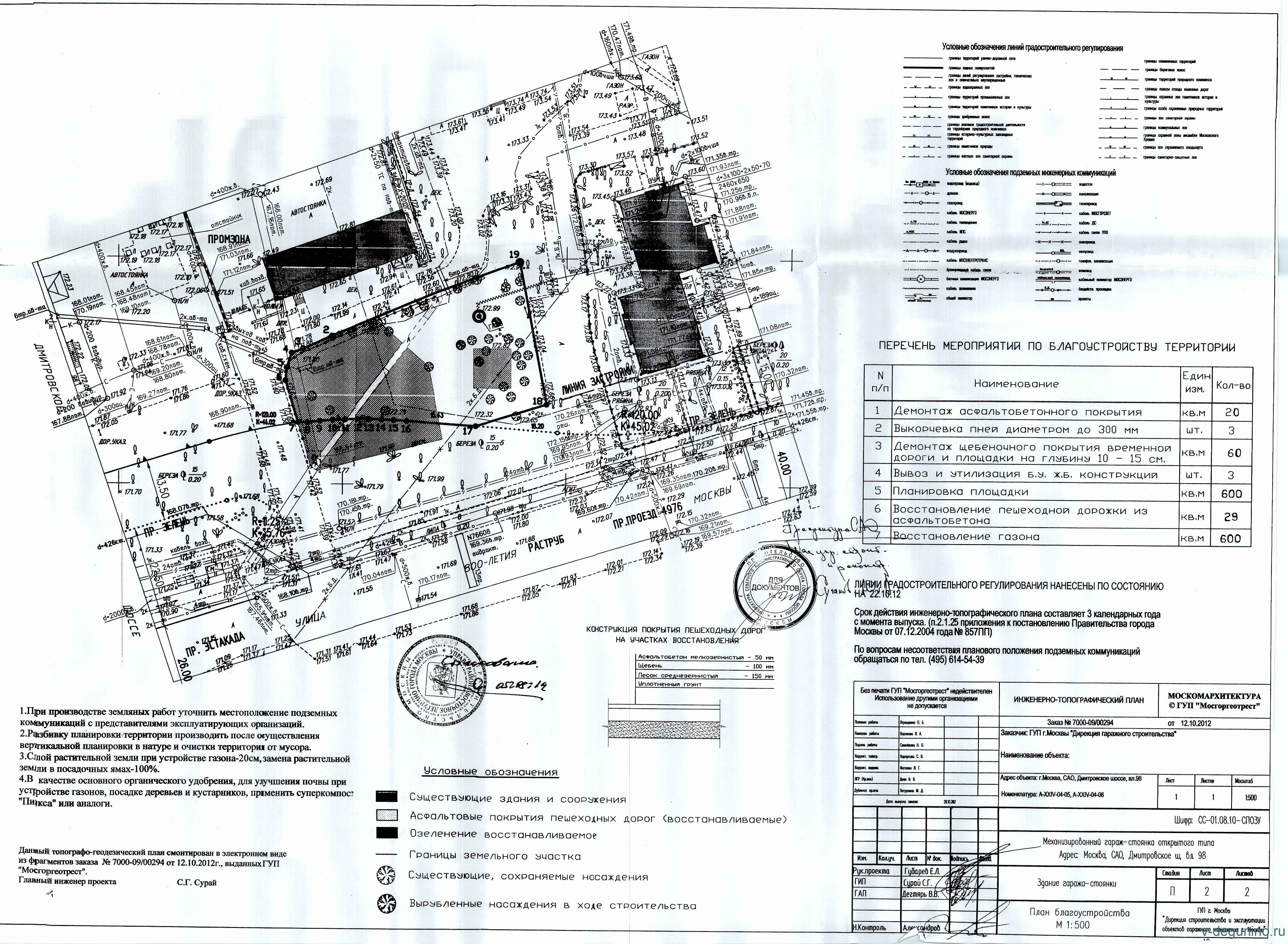
Выполнение комплекса работ по консервации объекта гаражного назначения по адресу: г. Москва, САО, Восточное Дегунино, Дмитровское шоссе, вл. 98

ТЕХНИЧЕСКОЕ ЗАДАНИЕ
на выполнение подрядных работ

Адрес объекта: г. Москва, САО, Восточное Дегунино, Дмитровское ш., вл. 98
Предмет: выполнение комплекса работ по консервации объекта гаражного назначения.
Характеристика объекта:
Площадь застройки: 0,1397 га.
Срок выполнения работ: начало - с даты подписания договора, окончание - 30 августа 2015 г.

Карта.jpg


Вероятно этот участок

Карта_Спутник.jpg


№ 31502498838 от 24.06.2015

Теги:

#1
Аватара пользователя

Автор темы
Ефанов Сергей
Администратор
Сообщения: 7507
Зарегистрирован: 08 фев 2015, 06:07
Откуда: Москва
Благодарил (а): 166 раз
Поблагодарили: 64 раза
Контактная информация:

Госзакупка: консервации объекта гаражного назначения Дмитровское шоссе, вл. 98

Сообщение Ефанов Сергей » 16 фев 2016, 02:39 #2

Что интересно:
на чертеже указано что на Дмитровском шоссе будет эстакада...

#2

Новая тема Ответить

Вернуться в «Новости Восточное Дегунино»

Кто сейчас на конференции

Сейчас этот форум просматривают: нет зарегистрированных пользователей и 7 гостей

Информеры

Рейтинг@Mail.ru Яндекс.Метрика

Войти через социальную сеть

Быстрая регистрация и авторизация через социальную сеть ®

Вход

Имя пользователя: Пароль: